Земельный участок для размещения коммерческих объектов (спортивных баз, объектов логистики и др.) у поселка Беласица вблизи города Петрич в Болгарии
Внимание! Данный объект снят с продажи!
КОМПАНИЯ "ЗЕМЕЛЬНЫЙ ВОПРОС" СОВМЕСТНО С КОМПАНИЕЙ, ПРЕДОСТАВИВШЕЙ ДАННЫЙ ОБЪЕКТ, ЯВЛЯЕТСЯ КОНТРАКТОДЕРЖАТЕЛЕМ ДАННОГО ОБЪЕКТА.
ПОЛНОЕ ЮРИДИЧЕСКОЕ СОПРОВОЖДЕНИЕ СДЕЛКИ.
ВНИМАНИЕ: ДАННЫЙ ОБЪЕКТ НАХОДИТСЯ ЗА ПРЕДЕЛАМИ РОССИИ !
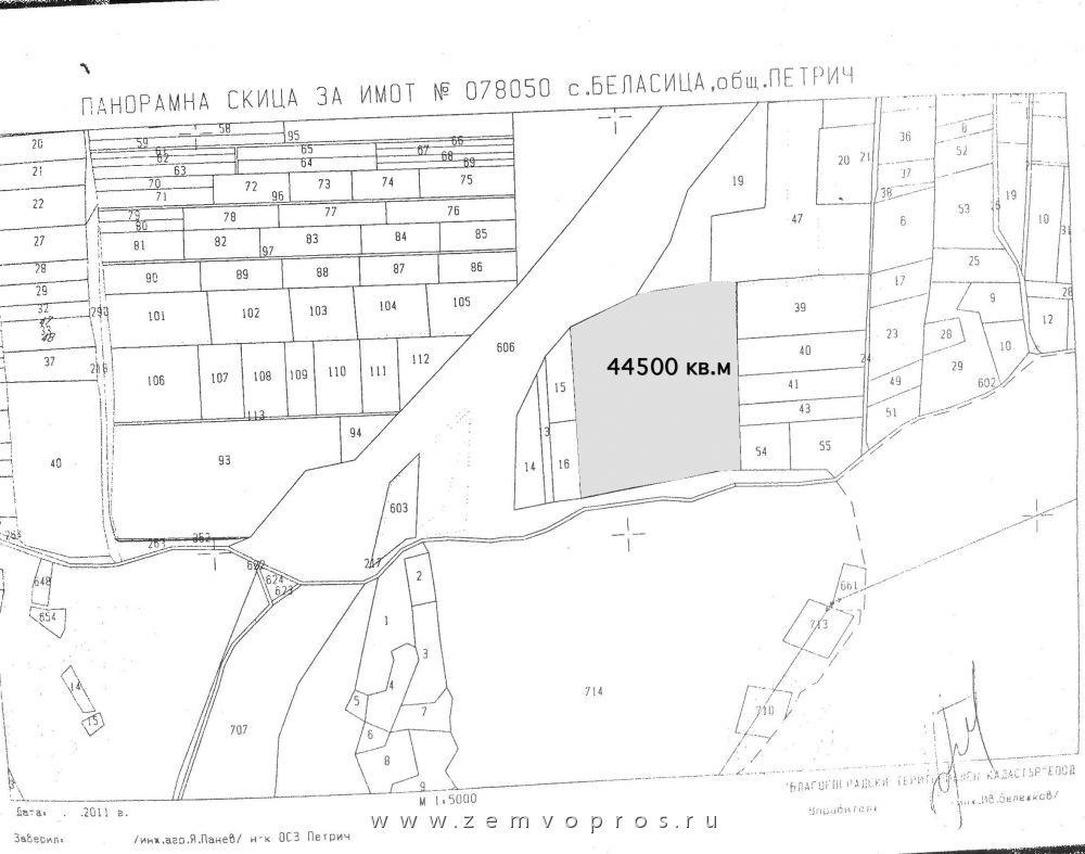
Земельный участок общей площадью 44 500 м2 у поселка Беласица вблизи города Петрич.
Расположение
Болгария, Благоевградская область, у поселка Беласица вблизи города Петрич.
В 2.2 км от города Петрич.
В 20 км Кулата (Греция).
В 25 км от Златарево (Македония).
В 120 км от пристанища Солун (Греция).
В 200 км от столицы Болгарии - города Софии.
В 1 км от новой стороящейся скоростной магистрали София - Солун ( Салоники, Греция ).
Правовая характеристика
Категория земель: под размещение коммерческих , логистических и производственных объектов 4-5 класса опасности.
Возможно использование земельного участка под строительство спортивных баз, объектов придорожного сервиса. Помощь административных органов при решении вопроса.
Вид права: собственность юридического лица.
Особенности
- Выгодное логистическое расположение участка: близость границ Греции, Македонии, новой меджународной автомагистрали София - Солун.
- Удобное расположение земельного участка относительно подъездной дороги (см. схему) .
- Ранее на территории общего земельного массива, в который входит участок, планировалось размещение соларного парка (батарей - возобновляемых источников) для выработки электроэнергии.
- В 400 м от участка - 2 столба линии электропередач ЛЭП 2.5 МВт.
- В настоящее время на участке - посадки клубники.
- Вдоль участка - подъездная дорога.
- К земельному массиву ведется строительство водопровода. В настоящее время наиболее удобно строительство артскважины (5-7 тыс. евро).
- Юридическая чистота документации. Объект без финансовых и юридических обременений.
Стоимость
СТОИМОСТЬ ОБЪЕКТА - 1.335 млн. евро + комиссионные
ПОЛЕЗНАЯ ИНФОРМАЦИЯ
Петрич - город в Болгарии. Находится в Благоевградской области. Административный центр одноименной общины Петрич. Численность населения - порядка 32 000 человек.
Петрич - второй по численности город в области после Благоевграда.
Расположен в Петрической котловине на юго-западе Болгарии, неподалеку от границы с Грецией и Македониней, у северных склонов гор Беласица. Около города текут реки Луда, Мара, приток Струмешницы.
Гора Беласица находится на территории 3-х стран - Болгарии, Греции и Македонии. Является, по сути, природным естественным парком. Высшая точка - гора Тумба (1881 м над уровнем моря).
Высота над уровнем моря : 180—260 метров, климат преходносредиземноморский. Средняя годовая температура +13,9 °C, средняя январская температура положительная +2,6 °C, средняя температура в июле +25,6 °C. Среднее количество осадков — 670 мм, максимум зимой — 204 мм, а минимум летом — 103 мм. Зима почти бесснежна, а лето достаточно жаркое. .
Окрестности города Петрич, вблизи которого находится земельный участок, - подножие горы Беласица, река в долине - Струмешница.
Благодаря средиземноморскому влиянию в долине реки Струма можно выращивать лимоны, киви и другие ранние фрукты и овощи.
Железнодорожный транспорт соединяет Петрич с остальной частью страны. Петрич находится на железнодорожной ветке София - Кулата- Афины.
Регулярное автобусное сообщение с Софией, Благоевградом, Сандански, Кулата, Златарево и со всеми областями Болгарии.
В окрестностях Петрича находятся интересные достопримечательности.
В 18 км от города можно посетить Национальный музей-крепость Самуила. В ХI веке между горами Беласица и Огражден болгарский царь Самуил построил оборонительную систему против византийских набегов.
Всего в 10 км от города Петрич находится известная местность «Рупите». Здесь жила болгарская пророчица Ванга. О ней напоминают дом и церковь Св. Петки, построенная по ее инициативе и на ее средствах.
В 13 км находится бальнеологический курорт село Марикостиново с лечебными грязями и многочисленными минеральными источниками с температурой воды 38° - 62° С.
Своей красотой поражают горы Беласица. По их северным склонам расположено самое большое месторождение съедобного каштана в Болгарии.
Стоимость1.335 млн. евро пересчитать в: руб долл |
Внимание! Здесь указана ориентировочная цена и параметры объекта. Пожалуйста, уточняйте информацию по телефону, e-mail или через форму обратной связи. |

















