Земельный участок под размещение производства в промзоне посёлка Пеники
Внимание! Данный объект снят с продажи!
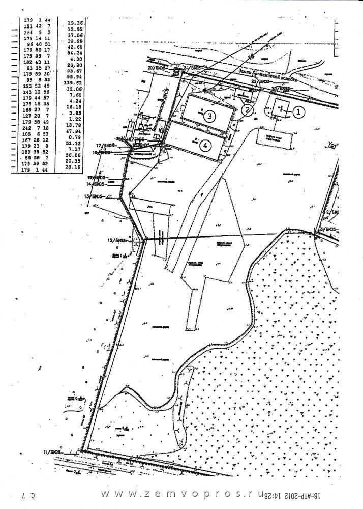
Земельный участок площадью 3 9838 м2 (4 га) под размещение производства в Пениках.
Расположение
Ленинградская область, Ломоносовский район, посёлок Пеники, промзона.
В 35 км от Санкт-Петербурга.
В 1 км от развязки КАД (Кронштадский съезд).
Правовая характеристика
Категория земель: земли промышленности, энергетики, транспорта, связи, радиовещания, телевидения, информатики, земли для обеспечения космической деятельности, земли обороны, безопасности и земли иного специального назначения.
Разрешённое использование: под размещение перерабатывающего комплекса.
Вид права: собственность (земельный участок и строения) юридического лица.
Особенности
- Земельный участок имеет прямоугольную форму. Свободен от насаждений.
- Огорожен бетонным забором и воротами. Есть второй вход.
- На территории находятся:
2 ангара-холодный и теплый площадью 411 м2 и 535 м2 и будка охраны площадью 45,7 м2.
- Инженерные сети:
1. Выделенная электрическая мощность - 250 кВА. Подстанция на территории площадки. Возможность увеличения мощности (центральная подстанция со свободными фидерами - в 50 метрах).
2. Центральная вода, канализация - в 300 м от участка.
3. На участке - локальная канализация.
4. Газ и станция - в 50 м.
Получены ТУ на подключение газа в объёме 86 тыс. м3/год для нужд отопления,вентиляции и ГВС в котельной на производственно-складские помещения. Устанвыливаемое оборудование - котёл "Vitoplex" фирмы "Viessmann" (Германия). Для указанного оборудования не требуется получать специальных разрешений на использование природного газа.
Стоимость
СТОИМОСТЬ ОБЪЕКТА : 55 млн рублей. + комиссионные
Стоимость55 млн. руб пересчитать в: долл евро |
Внимание! Здесь указана ориентировочная цена и параметры объекта. Пожалуйста, уточняйте информацию по телефону, e-mail или через форму обратной связи. |
Фотографии
Расстояние до Санкт-Петербурга
29 км. (указано расстояние до КАД Санкт-Петербурга по прямой).










