Участок под административное здание, с ГПЗУ, ППТ и ТУ, в Таврическом пер.
Внимание! Данный объект снят с продажи!
фото
документы
Земельный участок общей площадъю 2 586 м2 с прилегающим участком площадью 3500 м2 для строительства проектируемого административного здания (отеля международного класса, представительства фирм, бизнес-центра, банка, апартаментов для проживания и т.д). в Центральном районе Санкт-Петербурга.
Расположение
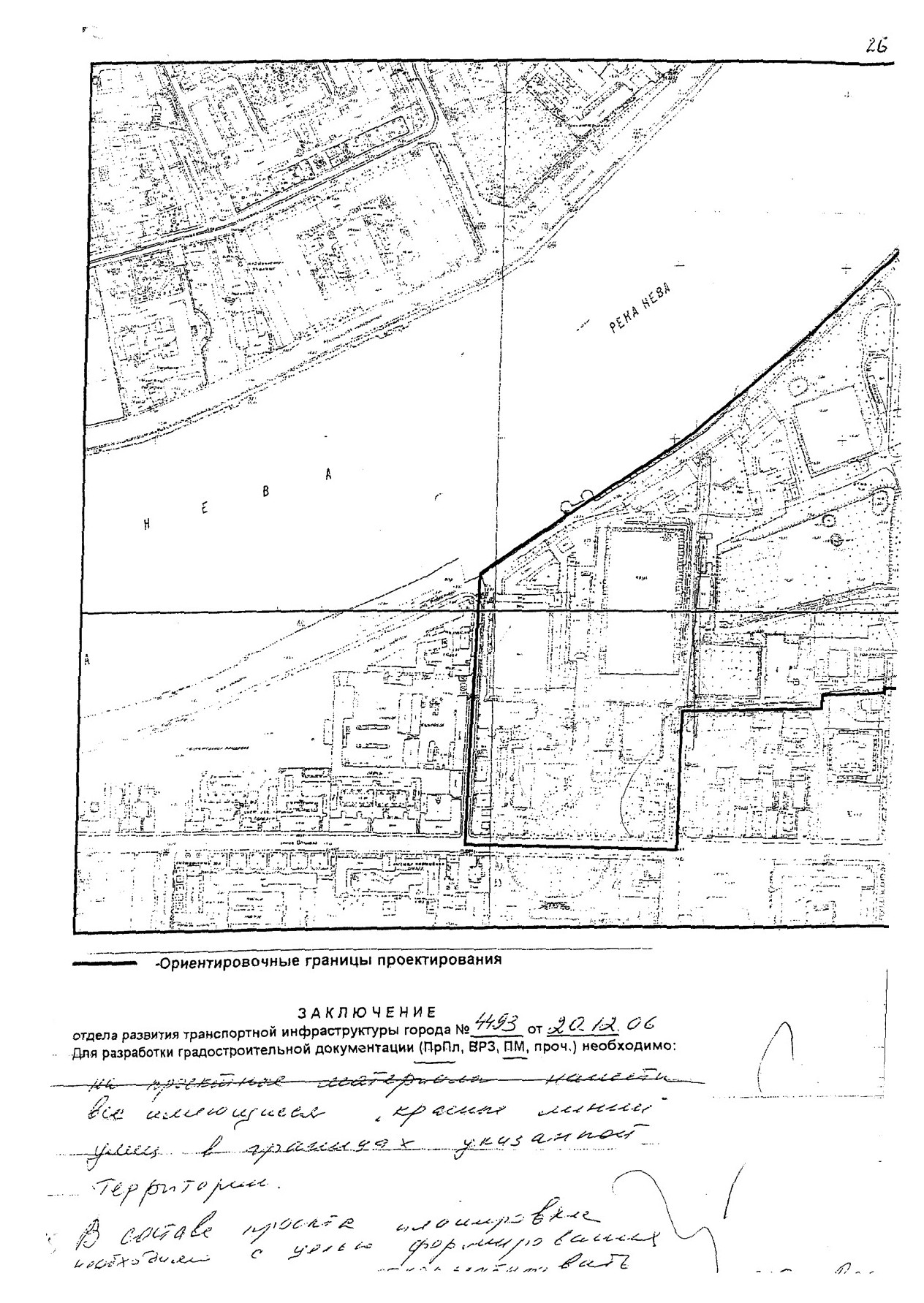
Санкт-Петербург, Центральный район, Таврический пер., участок 1, (северо - западнее пересечения с Орловской ул.).
В 300 м от Смольного - Администрации города.
В 150 м от Смольного Собора.
В 100 м от строящейся развязки Орловского туннеля и строящегося нового здания Арбитражного суда Санкт-Петербурга и Ленинградской области.
Правовая характеристика
Категория земель: земли населённых пунктов.
Разрешённое использование: для строительства административного здания со встроенной трансформаторной подстанцией.
Соответствие ПЗЗ:
ТД2-1 - зона общественно-деловой подзоны специализированных общественно-деловых объектов, расположенных на территории исторически сложившихся районов города.
Размер инвестиционных отчислений - 245 млн.руб.
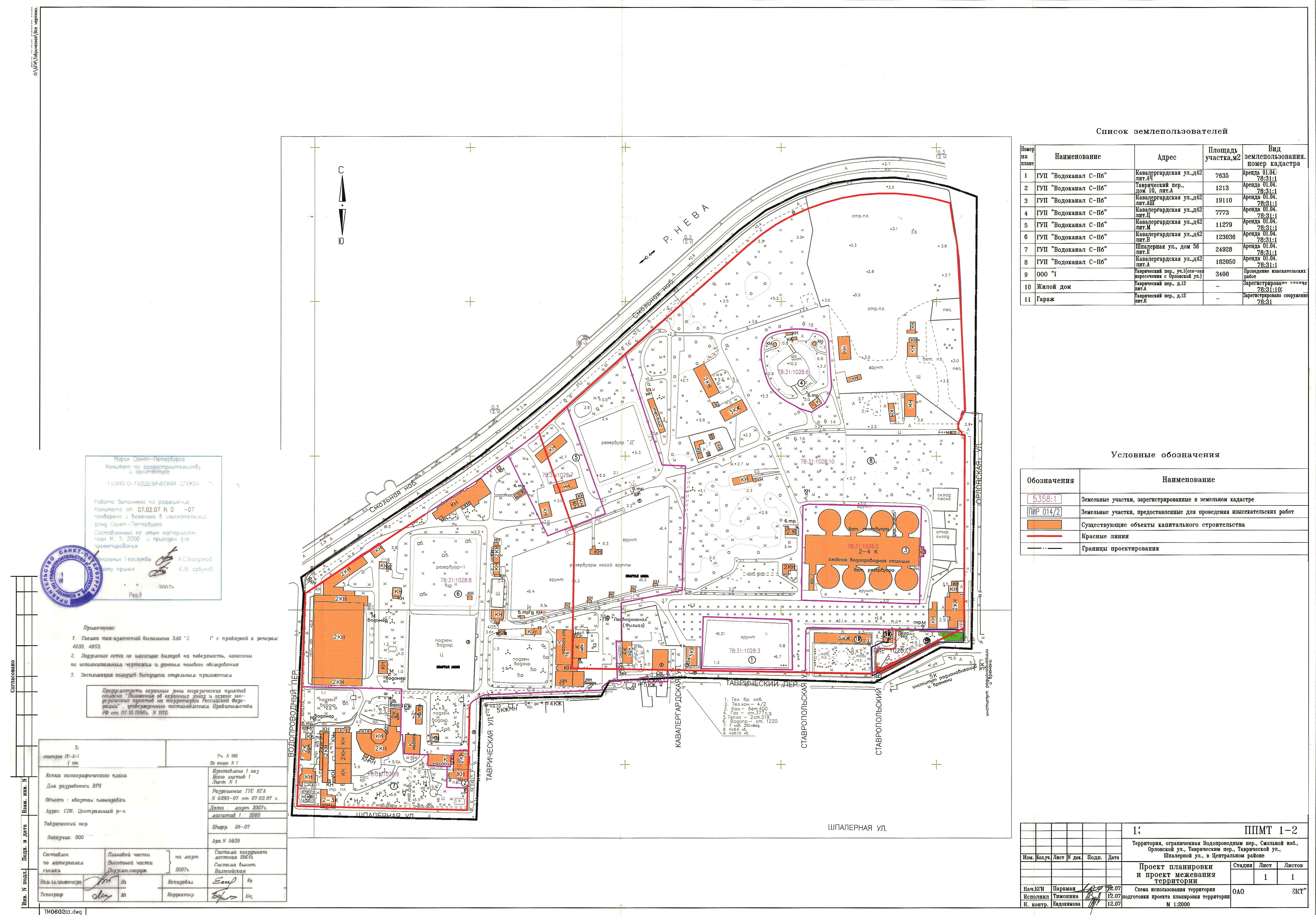
- Площадь земельного участка по кадастру - 2 586 м2.
- Площадь участка с прилегающей территорией- 3 500 м2 .
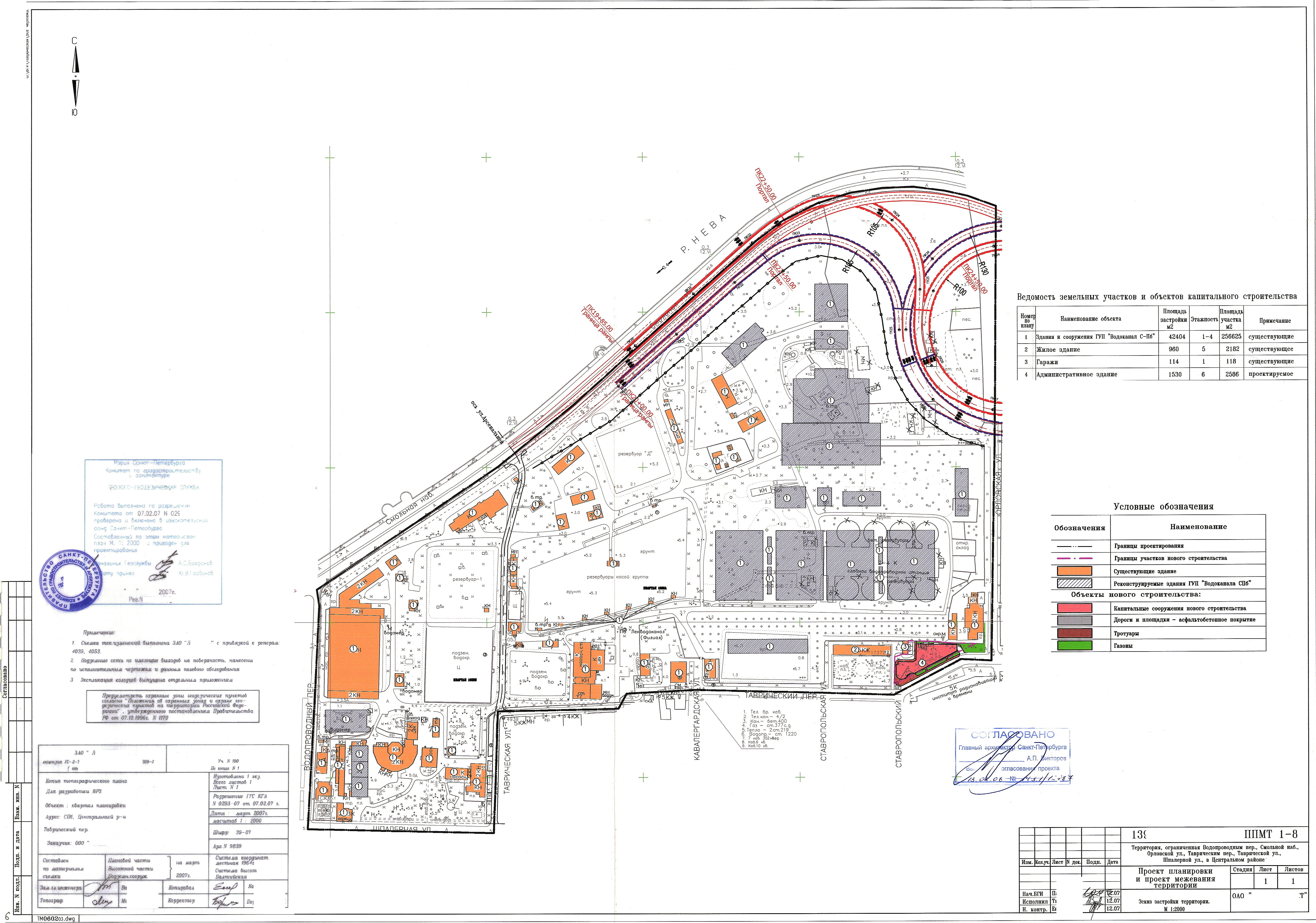
- Площадь застройки - 1. 530 м2
- Площадь планируемого к строительству здания - от 10 тыс.м2 .
Высота карниза здания 23 м (по уличному фронту).
Максимальная высота здания 26 м.
Охранные зоны
- охранная зона канализационных сетей;
- охранная зона водопроводных сетей;
- охранная зона тепловых сетей;
- охранная зона газораспределительной сети.
ЗРЗ 2-1 - зона регулирования застройки и хозяйственной деятельности исторически сложившихся Центральных районов Санк-Петербурга.
Вид права: инвестиционный договор (продлён до 2017 года).
Особенности
- Участок был предоставлен целевым назначением Губернатора Санкт-Петербурга юридическому лицу.
- Земельный участок расположен в объединённой зоне регулирования застройки 1 категории памятников истории и культуры в Центральных районах Санкт-Петербурга и ограничен:
- с юга Таврическим переулком,
- с севера границей территории ГУП ВОДОКАНАЛ,
- с запада - жилым 5-ти этажным домом.
- Проведено формирование земельного участка
- произведена регистрация данного земельного участка в Роснедвижимости с присвоением земельному участку кадастрового номера,
- выпущен план земельного участка с присвоенным кадастровым номером,
- Проведены публичные слушания по размещению на данном земельном участке проектируемого здания
- результат слушаний - положительный - проект рекомендован к строительству.
- протокол слушаний опубликован в периодической печати.
- Выполнены архитектурные предложения по размещению объекта на данном земельном участке, в их составе :
- генеральный план,
- фасады здания,
- расчет необходимых нагрузок для здания - тепло-, электроэнергия, водопотребление и водоотведение.
- Получены письма:
- Комитета по земельным ресурсам и землеустройству Санкт-Петербурга,
- Федеральной регистрационной службы,
- Комитета по управлением городским имуществом об отсутствии ограничений для реализации данного проекта.
- Разработан Временный регламент застройки
данной территории и Проект планировки, совмещенный с проектом межевания территории квартала с включением данного земельного участка, которые обосновали возможность строительства зданий с данными характеристиками.
Временный регламент застройки территории и проект планировки, совмещенный с проектом межевания, согласованы во всех инстанциях:
- Комитет по градостроительству и архитектуре,
- Комитет по государственному контролю, использованию и охране памятников истории и культуры,
- ГУП «Водоканал СПб»,
- Комитет по благоустройству и дорожному хозяйству,
- Администрация Центрального района,
- Комитет по энергетике и инженерному обеспечению,
- Управление садово-паркового хозяйства Комитета по благоустройству и дорожному хозяйству,
- Комитет по земельным ресурсам и землеустройству,
- Невско-Ладожское Бассейновое Водное Управление.
Получено Постановление Правительства СПб об утверждении проекта планировки, совмещенного с проектом межевания данной территории.
Результатом работы по участку было выпущенное Постановление Правительства Санкт-Петербурга о проектировании и строительстве вышеуказанного объекта .
Разработка документации по указанному участку проводилась для собственного использования, тщательно, с прицелом использования данной документации для дальнейшего строительства объектов и последующего управления и сдачи в аренду.
Состояние документации по объекту
- Получено Постановление Правительства Санкт-Петербурга о предоставлении участков юридическому лицу для проектирования и строительства объектов инвестиций.
- Получено Постановление правительства Санкт-Петербурга о пролонгации сроков строительства данного объекта инвестиций 31.03. 2016 года.
- Создан предварительный проект строительства здания широкого функционального назначения - отель международного класса, представительство фирмы, бизнес-центр, банк, апартаменты для проживания т.д.
- Предполагаемая к строительству площадь здания - от 10 тыс. м2 .
- Разработаны интерьеры и предварительный дизайн для типовых этажей общественного здания (по заказу немецких инвесторов, предполагающих использовать данной проект под гостиницу).
Согласованная площадь улучшений - 9 851 м2. Возможная в реальности - до 14 000 м2.
Уже сейчас можно получить разрешение на подготовительные работы, обнести забором стройплощадку и начать подготовку площадки строительства и земляные работы.
Одновременно с подготовительными работами будет разрабатываться рабочий проект и после его разработки получено разрешение на основные работы строительства .
После выполнения работ нулевого цикла и строительства первого этажа ВОЗМОЖНО оформление права собственности на незавершенное строительство и сразу после этого оформление права собственности на землю без дополнительных затрат.
Характеристики здания по разработаннму предварительному проекту
- Высота карниза здания - 23 м (по уличному фронту)
- Максимальная высота здания - 26 м
- Общая площадь здания - 14 776.00 м2
- Полезная площадь - 10 380 м2
- Подземная часть здания - 1 996,00 м2 . Из них полезная площадь 1331.00 м2
- Надземная часть 12 780 м2:
из них полезная площадь 8 946 м2, в которую входят
- кафе-ресторан - 600 м2,
- конференц зал 1050 м2,
- офисы - 7 296 м2
- Гараж в цокольном этаже здания на 50 легковых автомашин.
- Строительный объем здания 56 443.50 м3.
С верхних этажей запроектированного здания открывающийся вид - в одну сторону- на реку Нева, в другую сторону - на Смольный.
Мимо здания проходит выезд из строящегося Орловского тоннеля, соединяющего берега Невы круглосуточным сообщением.
- В Административном здании предусмотрен цокольный этаж с размещением в нём полузаглублённой автостоянки на 50 машино/мест для работников и посетителей.
- Главный вход в здание предлагается решить с акцентированного круглого доминирующего в композиции здания объема.
- Первый этаж здания предлагается выполнить с размещением входной группы, включающей центральный вестибюль с лифтовым холлом, проходной со стойкой администратора и охраны.
- Вестибюль функционально связан с кафе-рестораном на 50 посадочных мест располагающемся на первом этаже.
- Въезд в в цокольный этаж здания предусматривается с торца здания по пандусу. В нём также располагаются технические помещения; кабельная, тепловой узел с узлом учета тепловой энергии, водомерный узел со станцией пожаротушений гаража и офисных этажей здания.
- Центральный вестибюль функционально связан со всеми этажами административного здания, с автостоянкой в цокольном этаже в который опускается в лифт, вход в уровне цокольного этажа осуществляется через тамбур шлюз оборудованный подпором воздуха.
- Офисные этажи со 2-го по 6-й представляют из себя набор помещений с рабочими кабинетами, офисными залами, комнатами совещаний, на 6 этаже располагается конференц зал.
- Общее количество работающих в офисной части здания составляет 307 человек.
- Все этажи здания имеют две внутренние лестницы имеющие непосредственный выход на улицу, кроме того предусмотрена открытая эвакуационная лестница в торце здания, с воздушной зоной.
- Все помещения здания будут оборудованы системой централизованной вентиляции, кондиционирования воздуха.
Технические условия
Согласованы на все городские коммуникации.
- Газоснабжение
не требуется.
- Теплоснабжение
0.58 Гкал/час.
ТУ "Теплосеть Санкт-Петербурга".
- Электроснабжение
205 кВА
ТУ ОАО «Ленэнерго» .
- Водоснабжение
25.29 м3/сут.
ТУ «Водоканал СПб»
- Канализирование
32.33 м3/сут. ТУ «Левобережный Водоканал СПб».
- ТУ не оплачивались.
- Договоры на присоединение подготовлены.
- Стоимость подключения по техусловиям - 14.995 млн. руб.
В настоящий момент ведётся поиск инвесторов на самый ликвидный актив компании - земельный участок рядом со Смольным Собором и Администрацией города
Возможность получения разрешения на подготовительные работы, обнести забором стройплощадку и начать подготовку площадки строительства и земляные работы.
Одновременно с подготовительными работами будет разрабатываться рабочий проект и после его разработки - получение разрешения на основные работы строительства .
Планируемый срок строительных работ - 2 года.
4. Предполагаемые затраты:
- Плата за уже разработанную документацию- договорная.
- Затраты на строительство - по смете подрядной организации.
- Планируемый срок окупаемости проекта - по расчету оценочной компании - 3-4 года.
5. После выполнения работ нулевого цикла и строительства первого этажа ВОЗМОЖНО оформление права собственности на незавершенное строительство и после этого - оформление права собственности на землю БЕЗ ДОПОЛНИТЕЛЬНЫХ ЗАТРАТ.
6. Форму сотрудничества и стоимость разработанной на настоящий момент документации необходимо обсуждать дополнительно.
Предоставление дополнительной информации по объекту, организация осмотра и переговоров - по официальной заявке.
Стоимость
Стоимость объекта
230 млн. руб. + перечисление городу 245 млн.руб.
Коммерческие условия
Продаа 100% долей организации-владельца проекта.
Собственник объекта предлагает:
- произвести проектирование стадии рабочей документации,
- выполнить сопровождение документации во вневедомственной экспертизе.
Информация для инвестора
1. Для дальнейшей работы требуется задание от инвестора строительства о том, какое именно здание планируется:
- площадь,
- функциональное назначение,
- отделка внешняя и внутренняя
- др.
2. В соответствии с согласованным техническим заданием - разработка рабочего проекта строительства:
- срок разработки рабочего проекта 4-6 месяцев,
- стоимость проектирования в компании собственника - из расчёта 30-45 $/м2
Стоимость230 млн. руб пересчитать в: долл евро |
Внимание! Здесь указана ориентировочная цена и параметры объекта. Пожалуйста, уточняйте информацию по телефону, e-mail или через форму обратной связи. |































