Земельный участок для размещения объектов коммерческих объектов - АЗС,кафе, ресторан, ТРК и т.д. на 1-й линии Выборгского шоссе в Парголово
Внимание! Данный объект снят с продажи!
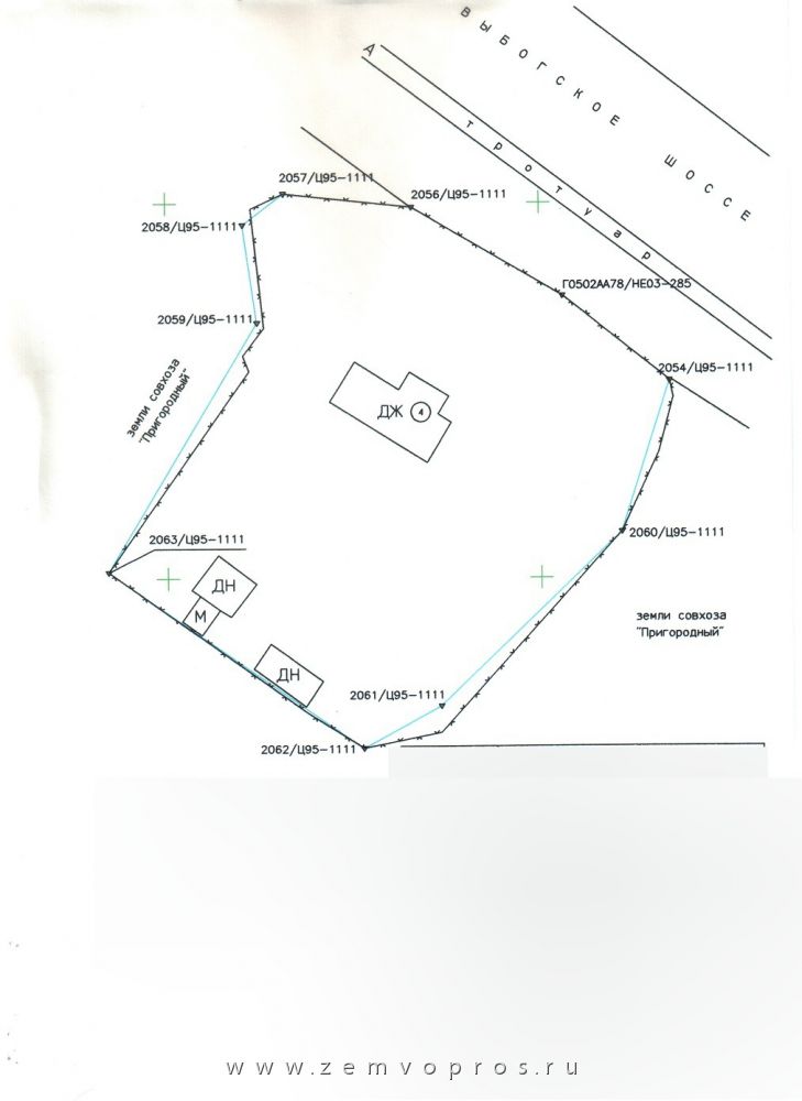
Земельный участок площадью 33.44 сотки для размещения объектов многофукциональной общественно-деловой застройки на 1-й линии Выборгского шоссе в Парголово.
Расположение:
Санкт-Петербург, посёлок Парголово, Выборгское шоссе, 1-я линия.
Категория земель: земли населённых пунктов.
Разрешённое использование: под размещение АЗС, кафе, ресторана, торгово-выставочного комплекса (ТРК), офисного центра и т.д.
Вид права: собственность.
Особенности:
- Территория земельного участка относится к функциональной зоне ТД1-2-1 (подзона размещения объектов многофункциональной общественно-деловой застройки в периферийных и пригородных районах города, расположенных в зоне влияния Кольцевой автомобильной дороги вокруг Санкт-Петербурга и вылетных магистралей, с включением объектов жилой застройки, а также объектов инженерной инфраструктуры).
Основные виды разрешенного использования - офисы, гостиницы, торговые центры. Жилые многоквартирные дома - в условно-разрешенных видах использования.
- Высотный регламент - 40 м.
- На территории участка - жилой дом. Подлежит сносу.
- Коммуникации:
1. Электричество: 10 кВт.
2. Водоснабжение(горячее, холодное) -городские системы - по периметру участка.
3. Канализационный коллектор - вблизи учасчтка (между участком и шоссе).
- Готовность документов.
СТОИМОСТЬ: 25 млн. руб.+ комиссионные.
Стоимость25 млн. руб пересчитать в: долл евро |
Внимание! Здесь указана ориентировочная цена и параметры объекта. Пожалуйста, уточняйте информацию по телефону, e-mail или через форму обратной связи. |

