Земельный участок для ведения крестьянско-фермерского хозяйства в черте города Отрадное
Внимание! Данный объект снят с продажи!
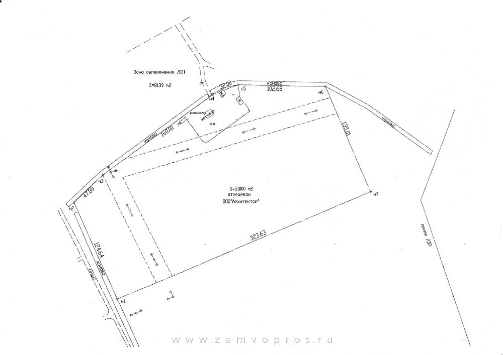
Земельный участок площадью 5.1 га для ведения крестьянско-фермерского хозяйства (КФХ) в границе города Отрадное.
Расположение:
Ленинградская область, Кировский район, г. Отрадное.
В 35 км от Санкт-Петербурга.
Категория земель: земли сельскохозяйственного назначения.
Разрешённое использовние: для ведения крестьянско-фермерского хозяйства (КФХ).
Особенности:
- Участок находится в границах города Отрадное. Примыкает к населённому пункту.
- В 200 метрах от реки Нева.
- Участок ровный, сухой, мелиорированный.
- Возможно подключение электро-, газо-, водо-снабжения (городские коммуникации - по границе участка .ЛЭП- проходит через участок.
- На участке стоит двухэтажный деревянный дом 2009 года постройки, обшитый сайдингом. Площадь дома 55 м2 . Есть хозяйственные постройки (сараи, вагончик).
- В непосредственной близости озеро и лес первой категории.
- Продажа - от юридического лица.
Стоимость7 млн. руб пересчитать в: долл евро |
Внимание! Здесь указана ориентировочная цена и параметры объекта. Пожалуйста, уточняйте информацию по телефону, e-mail или через форму обратной связи. |
Расстояние до Санкт-Петербурга
19 км. (указано расстояние до КАД Санкт-Петербурга по прямой).



