Земельный участок со зданием под снос для размещения индивидуального жилого дома (индивидуальных жилых домов) в Санкт-Петербурге в районе Шувалово-Озерки
Внимание! Данный объект снят с продажи!
фото
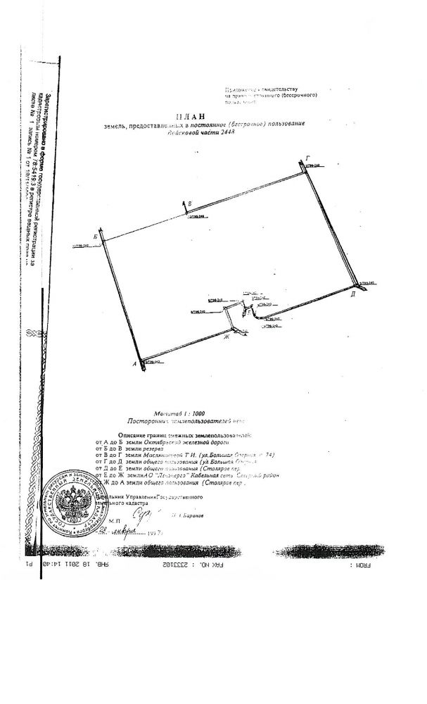
Земельный участок площадью 8586,0 м2 со зданием под снос для размещения индивидуального жилого дома (индивидуальных жилых домов) в Выборгском районе Санкт-Петербурга в районе Шувалово-Озерки.
Расположение:
Санкт-Петербург, Выборгский район, улица Большая Озерная, дом 72, литер А.
В 300 метрах от ближайшей станции метро - "Озерки".
Категория земель: земли населённых пунктов.
Разрешённое использование:
участок со зданием расположен в зоне 1ЖД.
1 ЖД - зона застройки односемейными (индивидуальными) жилыми домами (отдельно стоящими или блокированными), коллективных садоводств, с включением объектов общественно-деловой застройки и инженерной инфраструктуры, связанных с обслуживанием данной зоны.
Вид права:
В текущий период (февраль 2011 года) производится оформление собственности на земельный участок на физическое лицо.
Здание - в собственности физического лица.
Основные характеристики местоположения объекта:
- Объект находится в Выборгском районе Санкт-Петербурга муниципального округа Шувалово-Озерки - муниципальный округ № 17. Объединяет территории исторических районов города Озерки и Шувалово.
- Микрорайон является типичным "спальным районом" города, т.е. территорией с полным отсутствием промышленных предприятий и практически полностью застроенной жилыми домами и сопутствующими зданиями - школами, детскими садами, магазинами и т.д.
- В настоящее время в микрорайоне проживают около 350 тысяч человек. Установить точные границы микрорайона достаточно сложно, т.к. микрорайон не является административно-территориальной единицей города, но примерные границы микрорайона таковы:
на севере - железная дорога, идущая вдоль Суздальского проспекта;
на востоке - проспект Культуры, который одновременно является границей Выборгского и Калининского районов;
на юге - Северный проспект и Поклонногорская улица; на западе - железная дорога зеленогорско-выборгского направления, которая разделяет Выборгский и Приморский районы.
Особенности участка:
- В 50 метрах от земельного участка находится Большое Суздальское озеро- любимое место отдыха жителей Выборгского района.
- Участок расположен в микрорайоне. где вокруг находится преимущественно коттеджная застройка.
- Строительство жилого дома на участке может удачно совместить потребность в удобном, комфортабельном коттедже, который одновременно находится в Санкт-Петербурге и в зоне загородного отдыха.
- Транспортная доступность - станция метро "Озерки" - 5 минут на автомобиле или 15 минут пешком.
Характеристики здания на участке:
- Общая площадь здания - 927,10 м2.
- Здание в собственности физического лица.
Имущественно-правовой статус объекта:
1. В данный момент на земельный участок оформляется право частной собственности на физическое лицо в Федеральной регистрационной палате по Санкт-Петербургу и Ленинградской области (на здание собственность получена).
2. Лот был приобретен на открытом аукционе, организатор ОАО «Фонд имущества Санкт-Петербурга».
- Обременения (ограничения) :
1. Условия начала и завершения застройки/освоения:
обязанность Покупателя осуществить снос Здания в течение 6 месяцев с момента заключения договора купли-продажи и возвести на освобожденном земельном участке объект недвижимости в течение 42 месяцев с момента заключения договора купли-продажи или реконструкцию здания в течение 42 месяцев с момента заключения договора купли-продажи.
2. Обременения (ограничениия) по зданию:
1. В соответствии с Генеральным планом Санкт-Петербурга, утвержденным Законом Санкт-Петербурга от 22.12.2005 № 728-99, здание находится в зоне 1ЖД (зоне застройки односемейными (индивидуальными) жилыми домами (отдельно стоящими или блокированными), коллективных садоводств, с включением объектов общественно-деловой застройки и инженерной инфраструктуры, связанных с обслуживанием данной зоны), в связи с чем его целевое использование должно соответствовать разрешенным видам использования указанной функциональной зоны.
2. В соответствии с Законом Санкт-Петербурга от 19.01.2009 № 820-7 «О границах зон охраны объектов культурного наследия на территории Санкт-Петербурга и режимах использования земель в границах указанных зон и о внесении изменений в Закон Санкт-Петербурга «О Генеральном плане Санкт-Петербурга и границах зон охраны объектов культурного наследия на территории Санкт-Петербурга» Здание находится в границах зоны регулирования застройки 2-5 (пос. Шувалово, Озерки), в связи с чем в отношении него действуют ограничения (обременения) в использовании, установленные для указанной зоны охраны.
3. Здание не является защитным сооружением гражданской обороны.
4. Здание в списках памятников истории и культуры федерального, регионального, местного значения, а также выявленных объектов культурного наследия Санкт-Петербурга не значится.
- Возможные варианты использования: индивидуальный жилой дом, блокированный жилой дом- таун- хауз.
Стоимость82 млн. руб пересчитать в: долл евро |
Внимание! Здесь указана ориентировочная цена и параметры объекта. Пожалуйста, уточняйте информацию по телефону, e-mail или через форму обратной связи. |














