Участки для строительства домов в посёлке Приветнинское
Внимание! Данный объект снят с продажи!
фото
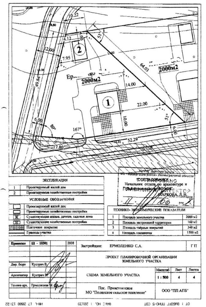
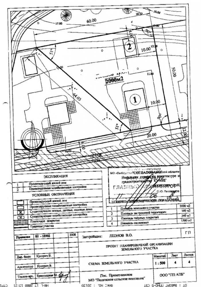
Шесть земельных участков площадью по 20 соток для строительства домов и коттеджей каждый в посёлке Приветнинское.
Расположение:
Ленинградская область, Выборгский район, посёлок Приветнинское, ул. Морская.
В 65 км от Санкт-Петербурга.
В 10 км от Зеленогорска.
Категория земель: земли населённых пунктов.
Разрешённое использование:
2 участка - под строительство индивидуального жилищного строительства (ИЖС),
4 участка - под строительство индивидуального дачного дома.
Вид права: аренда (с 2009 года).
Поселок "Приветнинское", расположен на границе Курортного и Выборгского районов, в 65 километрах от Санкт-Петербурга, всего в 1,5 км от береговой линии Финского залива. Территория поселка имеет ровный рельеф, покрытый вековыми соснами. Через весь поселок протекает живописная река Приветная.
Особенности:
- Участки расположены в зоне новой коттеджной застройки посёлка на новой улице Морская.
Участки для ИЖС: при проезде через посёлок (со стороны Санк-петербурга) вдоль железнодорожной ветки за 1-м ж/д переездом налево на улицу Морская мимо домов до конца улицы. Участки справа.
Участки для строительства индивидуальных дачных домов:
при проезде через посёлок (со стороны Санк-петербурга) вдоль железнодорожной ветки за 2 -м ж/д переездом до Т-образного перекрёстка, на перекрёстке направо до ворот дачного посёлка "Форт-ино" , перед воротами - поворот направо к участкам.
- Электричество: для участков ИЖС получены ТУ на 15 кВт.
- Вода: необходимы скважины.
- На территории участков для ИЖС - многовековые сосны (200 лет) и берёзы.
- Готовность документов.
Вид продажи: переуступка права аренды по заявлениям собственников и покупателей, получение необходимых документов для подачи в Регистрационную палату для получения свидетельства на право аренды новым владельцем.
СТОИМОСТЬ:
Участки для ИЖС: 2,5 млн. руб. каждый.
Участки для индивидуальных дач: 2,2 млн. руб.
Стоимость2.5 млн. руб пересчитать в: долл евро |
Внимание! Здесь указана ориентировочная цена и параметры объекта. Пожалуйста, уточняйте информацию по телефону, e-mail или через форму обратной связи. |
Фотографии
Расстояние до Санкт-Петербурга
46 км. (указано расстояние до КАД Санкт-Петербурга по прямой).








