Земельный участок для размещения объектов АЗС и СТО на первой линии Таллиннского шоссе у посёлка Русско-Высоцкое
Внимание! Данный объект снят с продажи!
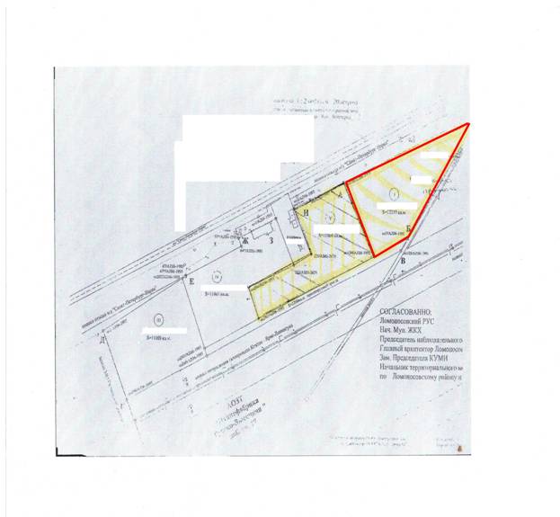
Земельный участок площадью 1.2 га для размещения объектов АЗС на первой линии Таллинского шоссе напротив посёлка Русско-Высоцкое.
Расположение:
Ленинградская область, Ломоносовский район. вблизи посёлка Русско-Высоцкое.
В 25 км от Санкт-Петербурга.
Категория земель: земли сельскохозяйственного назначения.
Разрешённое использование: для ведения крестьянского (фермерского) хозяйства.
Вид права: собственность.
Особенности:
- Участок расположен на 1-ой линии Таллиннского шоссе (по направлению в Санкт-Петербург - справа).
- Получено письмо ФГУ "Севзапуправтодор" о согласовании размещения комплекса дорожного сервиса (АЗС, стоянка, шиномонтаж, мойка).
- В течение 4 месяцев после предоставления покупателем задатка в размере 2 млн. руб. будет произведён перевод земель и изменение разрешённого использования земельного участка под конкретный проект объекта АЗС , СТО с получением всех технических согласований. Оплата дополнительно к стоимости объекта.
- В стоимость предложения входит стоимость участка, стоимость работ и документации по переводу земель и изменению разрешённого использования земельного участка (подготовка объекта для размещения АЗС или СТО "под ключ").
СТОИМОСТЬ земельного участка: 15 млн. руб. - с учётом перевода земель.
Стоимость15 млн. руб пересчитать в: долл евро |
Внимание! Здесь указана ориентировочная цена и параметры объекта. Пожалуйста, уточняйте информацию по телефону, e-mail или через форму обратной связи. |
Фотографии
Расстояние до Санкт-Петербурга
19 км. (указано расстояние до КАД Санкт-Петербурга по прямой).




