Участок у моста Бетанкура с предпроектным решением строительства 8-этажного жилого дома на Петровском пр.
Внимание! Данный объект снят с продажи!
фото
документы
Земельный участок площадью 3576 м2 под строительство многоквартирного жилого дома с коммерческими помещениями и подземным паркингом на Петровском проспекте у моста Бетанкура
Расположение
Санкт-Петербург, Петроградский район, Петровский пр., дом 20, корпус 4, литера З
- 1 529 м от станции метро «Чкаловская»
- 1 552 м от станции метро «Спортивная»
- 1 556 м от станции метро «Крестовский Остров»
- 1 865 м станции метро «Василеостровская»
Правовая характеристика
Земельный участок
Площадь – 3 576 м2
Категория: земли населённых пунктов
Разрешённое использование: многоэтажная жилая застройка (высотная застройка)
Вид права: собственность юридического лица
Строения на участке снесены.
Обременения:
- прибрежная защитная полоса водного объекта – 2 072.0 м2
- водоохранная зона водного объекта – 3 576.0 м2
- охранная зона газораспределительной сети – 22.0 м2
- охранная зона тепловых сетей – 2.0 м2
- охранная зона газораспределительной сети – 9.0 м2
- зона регулирования застройки и хозяйственной деятельности:
- площадь – 3 576.0 м2
- наименование зоны – единая зона регулирования застройки и хозяйственной деятельности 2
- вид – ОЗРЗ-2(07)01
ЗОУИТ
- охранная зона газораспределительной сети
- охранная зона тепловых сетей
- водоохранная зона водного объекта
- прибрежная защитная полоса водного объекта
- береговая полоса водного объекта
ЗУ полностью расположен в границе зоны охраны ОКН, находящегося в 50 м с северной части участка.
Соответствие Генеральному плану и ПЗЗ
- функциональная зона – 3ЖД
- территориальная зона – Т3ЖД3
Т3ЖД3 – многофункциональная зона среднеэтажных и многоэтажных многоквартирных жилых домов, объектов общественно-деловой застройки, расположенных на территории исторически сложившихся районов Санкт-Петербурга (за исключением исторической застройки пригородов) с включением объектов инженерной инфраструктуры
Оснащение коммуникациями
Участок подключён:
- к тепловые сетям
- к водопроводу и водотведению бытовой и ливневой канализации
- к электрическим сетям:
- мощность – 100 кВт
Особенности
Престижная локация участка
- в историческом центре Петербурга с современной инфраструктурой
- на уединённом Петровском острове
- доступная близость Дворцовой площади и стрелки Васильевского острова
- в ближайшем окружении – зелёные зоны и водоёмы:
- Приморский парк Победы с каскадами прудов (Лебяжий, Северный, Южный)
- Петровский парк с Петровским прудом
Транспортная доступность
- общественный транспорт до станции метро «Крестовский остров»
- удобный выезд по улице Савиной и Петровскому проспекту на главные магистрали города:
- мост Бетанкура
- набережную Макарова
- Спортивную улицу
- Морской проспект
- ЗСД
Участок ограничен:
- Петровским проспектом
- проектируемым проездом
- береговой линией реки Малая Нева
- проектируемым проездом проектируемого участка
Ближайшее окружение
В ближайшем окружении – несколько элитных жилищных проектов:
- на Петровском пр., 20, литера С:
- на участке 3.6 га компания РСТИ строит ЖК Familia на 555 квартир
- в 400 – 500 м на запад от участка находятся жилые комплексы от компании Setl City:
- строящийся ЖК премиум-класса «The ONE» на 446 квартир:
- начало строительства – 2019 год
- планируемый срок сдачи в эксплуатацию – 2022 год
- завершённый ЖК «Петровский квартал на воде»
- строящийся ЖК премиум-класса «The ONE» на 446 квартир:
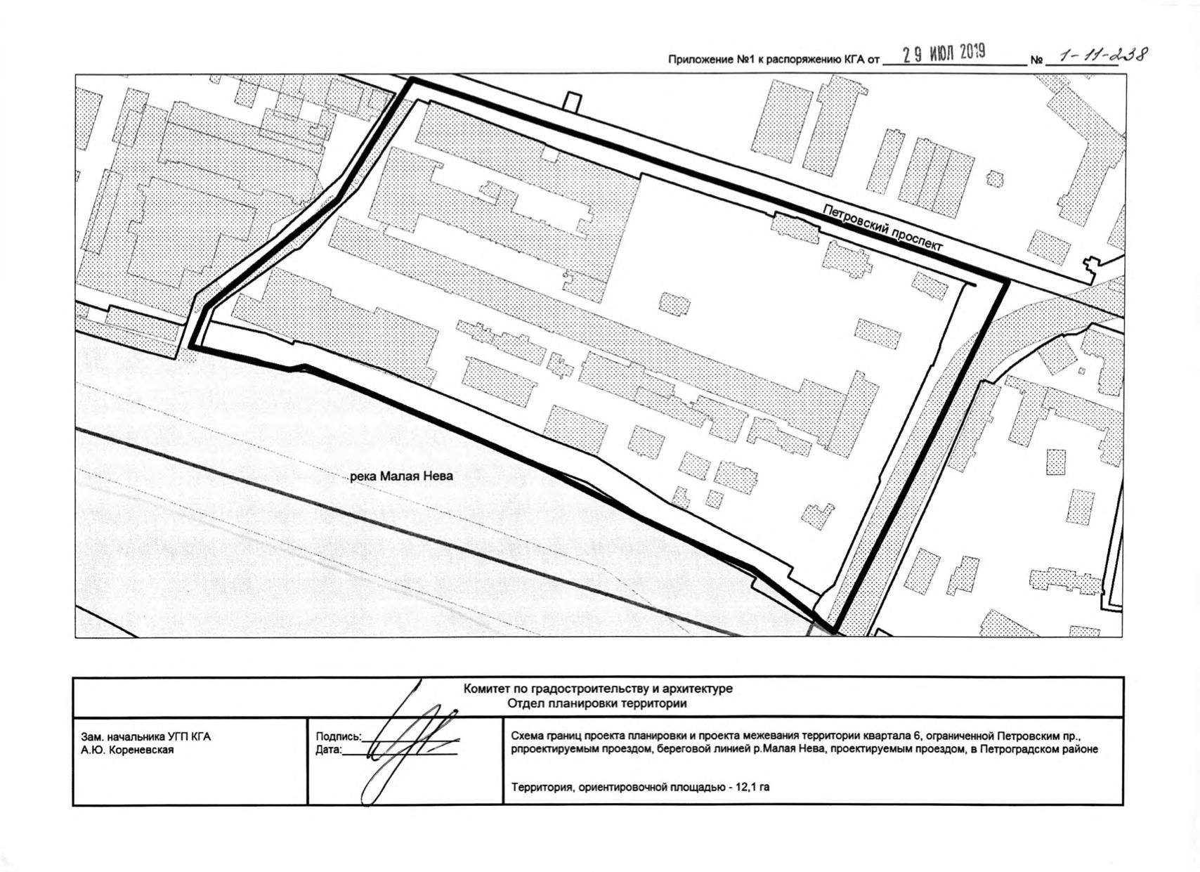
Сведения о разрабатываемом ППТ
Участок входит в границы разрабатываемого проекта межевания и изменений в проект планировки территории Петровского острова, ограниченной:
- береговой линией р. М.Невы
- береговой линией р, Ждановки
- береговой линией р. М.Невы
в Петроградском районе, утверждённый постановлением Правительства Санкт-Петербурга №1264 от 17.08.2011 в части территории квартала 6, ограниченной
- Петровским проспектом
- береговой линией р. Малая Нева
в Петроградском районе.
Срок подготовки проекта межевания
- до 30.07.2020
- Распоряжением КГА о подготовке документации по ППТ №238 от 29.07.2019
Существующая ситуация
На участке ранее было расположено здание, построенное до революции при канатной фабрике Гота. Оно было исключено из перечня выявленных ОКН (Распоряжение КГИОП № 10-448 от 6 сентября 2016 года).
Здание снесено в конце 2019 года. Основанием для демонтажа стало заключение КГИОП об аварийности дореволюционной постройки, Техническое заключение, в котором содержатся выводы об аварийности здания, выполнил Государственный архитектурно-строительный университет.
Участок расщинен.
Предпроектное решение «Многоквартирного жилого дома с коммерческими помещениями»
На участке предполагается возведение трёхсекционного 8-этажного жилого дома с коммерческими помещениями. Предусматриваются двухэтажный подземный паркинг и надземная автостоянка в створе моста Бетанкура.
Эскизный архитектурный проект жилого дома согласован с КГИОП.
Класс жилья – «бизнес».
Продаваемая площадь – 10 700 м2
Границы территории проектирования
- с востока – примыкает к красным линиям проектируемой автомагистрали на остров Серный
- с юга – обращена на реку Малая Нева:
- с отступам от красных линий береговой полосы шириной от 2.5 – 4.0 м до 9 м
- с запада и севера – границы участка выходят на существующий внутриквартальный проезд.
Технико-экономические нормативы для расчёта предельных параметров объекта
- функциональное использование земельного участка:
- для размещения жилого дома – в соответствии с утверждённым ППТ
- среднеэтажная жилая застройка (код 2.5) – основной вид разрешённого использования
- коэффициент использования территории – не устанавливается в соответствии с Приложением 8 ПЗЗ
- минимальный отступ здания от границ земельного участка:
- стен без дверных и оконных проёмов и иных светопрозрачных конструкций, обеспечивающих соблюдение санитарно-гигиенических требований – 0 м
- стен с окнами – 10 м
- стен, совпадающих с улицами и проездами – 0 м
- вдоль северной границы ЗУ расположен существующий внутриквартальный проезд, отображённый в утверждаемой части ППТ, но не выделенный в красные линии территории общего пользования
- максимальный отступ за красную линию:
- для эркеров с отметки 4.0 – 2.5 м
- высотный регламент (в соответствии со схемой Приложения 2 ПЗЗ)
- максимальная высота для здания внутриквартальной застройки до карниза и конька крыши – 28 м
- минимальная доля озеленения ЗУ:
- 20% (в соответствии с Приложение 8 ПЗЗ)
- нормируемой количество автостоянок:
- 1 м/м на 120 м2 общей площади квартир (в соответствии с Приложение 8 ПЗЗ)
- 1 м/м на квартиру – в соответствии с Техническим заданием
- нормируемое количество велопарковок:
- 1 место на 280 м2 общей площади квартир
- нормативная потребность в объектах социального обслуживания:
- в школах – 120 мест на 1000 жителей
- в детских садах – 61 место на 1000 жителей
Объёмно-планировочное решение
Конфигурация здания формирует в границах участка полузамкнутое камерное пространство, обращённое к набережной реки Малая Нева, что позволяет:
- минимизировать воздействие внешних факторов
- создать дополнительное ощущение защищённости и комфорта для жителей
Северным и западным фасадами жилой дом обращён к существующим внутриквартальным проездам.
Отступы от границ земельного участка
- с севера и запада – 0 м
- с восточной стороны – 8 м
- с южной стороны стена левого крыла здания отступает от границ ЗУ на 10 м
- глухая стена правого крыла жилого дома располагается по границе ЗУ
Въезды
- въезд на территорию ЗУ и наземную гостевую парковку:
- с внутриквартального проезда
- въезд в поземный гараж:
- с северной границы ЗУ
Высотность здания
Максимальная высота здания до карниза и конька крыши соответствует предельным значениям внутриквартальной застройки, поскольку территория ЗУ с южной, западной и северной стороны не выходит за красные линии улично-дорожной сети и не влияет на инсоляцию прилегающего жилого дома.
Элементы конструктива жилого дома
Секции жилого дома
Проектируемый жилой дом состоит из трёх секций.
На 1 этаже здания – коммерческие встроенные помещения.
Высота 1 этажа (в свету) – 4.0 м.
Со 2 по 8 этажи – квартиры.
Жилые этажи
- Со 2 по 6 этаж:
- высота – 2.9 м
- площадь квартир – от 40 до 90 м2
- С 7-го по 8-й этаж:
- высота – 3.2 м
- площадь квартир повышенной комфортности – от 60 до 200 м2
Доступ в квартиры
- лифты
- лестница из вестибюля 1 этажа
Коэффициент использования территории
Не устанавливается.
Подземный гараж
Подземный гараж – под всем пятном здания.
Обеспечивает нормативную потребности в местах хранения легкового автроанспорта для жителей дома:
- гараж двухуровневый
- количество м/м – 111
Открытая гостевая стоянка
- количество м/м – 10
- количество м/м для инвалидов (в общем числе м/м) во дворе здания – 4
Места хранения велосипедов
- внутри жилого дома
- на территории ЗУ
Элементы благоустройства жилого дома
- асфальтовое покрытие проездов и автостоянок
- мощение пешеходных проходов тротуарной плиткой
- посадка деревьев
- устройство газонов
- устройство детской площадки, площадки для отдыха
- размещение парковой мебели, урн
- устройство наружного освещения
ТЭП жилого дома с подземным паркингом
- максимальная высотная отметка здания – 28 м
- этажность: 8 + 2 подземных:
- секция №1 – 8 этажей
- секция №2 – 8 этажей
- секция №3 – 8 этажей
- подземный паркинг с помещениями для инженерного оборудования - этажность – 2
- общая площадь здания – 18 870 м2
- общая подземная площадь здания – 4 800 м2
- общая надземная площадь здания – 14 070 м2
- площадь встроенно-пристроенных помещений – 1 077 м2
- общая площадь квартир – 9 632 м2
- количество квартир - 86
- расчётное количество жителей – 241 чел.
- нормативная потребность в объектах социального обслуживания:
- мест в школах – 29
- мест в детских садах – 16
- количество машиномест в подземном паркинге – 111
- в том числе нормативное количество мест для хранения автомобилей – 80
Баланс территории земельного участка
- площадь участка – 3 576 м2
- площадь застройки – 2 529 м2
- площадь твёрдого покрытия – 1 110 м2
- площадь озеленения с учётом детских площадок для отдыха – 748 м2
- площадь озеленения на стилобате – 242 м2
- площадь озеленения на земле – 506 м2
- площадь наземной (гостевой автостоянки) – 120 м2
- нормативное количество м/м на наземной (гостевой) автостоянке - 10
- количество м/м для инвалидов – 4
- количество велосипедных парковок – 34
Предоставление дополнительной информации и организация встречи с собственником объекта – по официальной заявке
Стоимость350 млн. руб пересчитать в: долл евро |
Внимание! Здесь указана ориентировочная цена и параметры объекта. Пожалуйста, уточняйте информацию по телефону, e-mail или через форму обратной связи. |








































