Участок под инвестпроект строительства ЖК на Муринской дороге в черте Санкт-Петербурга
Внимание! Данный объект снят с продажи!
фото
документы
Земельный участок площадью 16 873 м2 под реализацию инвестиционного проекта строительства многоквартирного жилого дома со встроено-пристроеными объектами розничной торговли, объектами бытового обслуживания и встроено-пристроенным гаражом на Муринской дороге
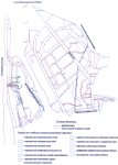
Расположение
Санкт-Петербург, Красногвардейский район, Муринская дорога, участок 4
- 1.31 км от станции метро «Девяткино» (по прямой)
- 1.5 км от станции метро «Гражданский проспект» (по прямой)
Правовой статус
Категория земель: земли населённых пунктов
Разрешённое использование: для размещения многоквартирного жилого дома (жилых домов) - по документу
Вид права: аренда на инвестиционных условиях (до 13.07.2024 года)
Соответствие Генеральному плану и ПЗЗ
- функциональная зона - 3ЖД, У
- территориальная зона - Т3Ж2, ТУ
Т3Ж2 - жилая зона среднеэтажных и многоэтажных многоквартирных жилых домов, расположенных вне территории исторически сложившихся районов центральной части Санкт-Петербурга с включением объектов социально-культурного и коммунально-бытового назначения, связанных с проживанием граждан, а также объектов инженерной инфраструктуры
ТУ - зона улично-дорожной сети города:
- скоростных дорог
- магистральных улиц городского значения
- магистральных улиц районного значения
с включением объектов инженерной и транспортной инфраструктур, а также объектов основных видов разрешенного использования прилегающих территориальных зон с учетом санитарно- гигиенических и экологических требований, а также технических регламентов
- высотный регламент - 85 м
- фоновая высота - 40/43/85 м
Участок входит в территорию, ограниченную:
- Приозерским направлением ж/д
- административной границей Санкт-Петербурга
- береговой линией Муринского ручья
для которой утверждён ППТ и ПМ (Постановление Правительства Санкт-Петербурга № 133 от 11.03.2014).
Участок (территория проекта строительства):
- не входит в границы существующих и планируемых к созданию особо охраняемых природных территорий (ООПТ) регионального значения
- на участке отсутствуют:
- пункты наблюдения за состоянием окружающей среды, входящие в территориальную систему наблюдения
- отдельно расположенные гидравлические сооружения
- водные объекты
- водоохранные зоны
- прибрежно-защитные полосы и береговые полосы водных объектов
Территория участка относится к мелиорированным землям:
- в границах земель:
- мелиоративный канал для отвода поверхностных и грунтовых вод (преимущественно транзитных)
- при устройстве и использовании канала требуется проведение гидрологических и гидравлических расчётов с учётом:
- принятых планировочных решений
- системы водоотведения с территории застройки
- возможного водоприёмника
- изменения коэффициента стока
- максимального расхода воды в водоотводных устройствах
Подготовленная документация
- ИРД
- ГПЗУ
- договор аренды с правом выкупа
- кадастровый паспорт
- проект планировки и межевания территории (ППТ):
- утверждён Постановлением Правительства Санкт-Петербурга № 133 от 11.03.2014
- устаревшие материалы по ТУ:
- предварительные заключение о возможности технологического присоединения к электрическим сетям (Ленэнерго) от 18.07.2014
- ТУ подключения к сетям инженерно-технического обеспечения (Водоканал) от 24.06.2014
- ТУ подключения к тепловым сетям (ГУП ТЭК) от 13.08.2014
Особенности
Арендуемый на инвестиционных условиях земельный участок под строительство многоквартирного дома со встроенно-пристроенными объектами розничной торговли, объектами бытового обслуживания и встроенно-пристроенным гаражом:
- находится в районе метро «Гражданский проспект»
- Муринская дорога является прямым выездом на КАД
- на Муринской дороге к участку примыкает проспект Маршака и Аллея Евгения Шварца
- вблизи участка:
- живописный пруд и прогулочные тропинки
- ЖК «Новая Охта» с развитой инфраструктурой
Транспортная доступность
Самый удобный проезд к территории проекта - через улицу Школьная до ул. Новая, д.11, корпус 1
Выезд - на Центральную ул. (Токсовское шоссе). Далее - на КАД, по которой можно проехать в любую точку в северной и восточной части города
Ближайшие станции метро - «Девяткино» и «Гражданский проспект»
Общественный транспорт:
- в микрорайоне курсируют 4 городских автобуса (№№177, 183, 61, К298
- ближайшая остановка - напротив объекта
Доступность автотранспортом торговых центров «Даллорт Сити», «Рубикон», гипермаркета «Лента»
Идея проекта
Адрес проекта:
- Санкт-Петербург, Красногвардейский район, Муринская дорога, участок 4
- по ППТ и ПМ - участок 36
Базовая концепция ориентирована на реализацию проекта строительства высотных домов «комфорт-класса» в 2 очереди:
- этажность - от 21 до 23
- монолитная технология возведения
Совместно со строительством второй очереди запланировано строительство:
- коммерческих помещений (на первых этажах)
- паркингов
Разнообразие компактных одно- двухкомнатных квартир классической и европейской планировок позволит выбрать будущее жильё, исходя:
- из покупательских возможностей
- из привычного образа жизни
- из представлений об идеальной квартире
Эргономика квартир обеспечивает функциональность каждого метра.
ТЭП проекта в целом
- общая площадь объекта - 40 070 м2
- количество жилых домов -3:
- 1 очередь - 1 дом
- 2 очередь - 2 дома
- общая продаваемая площадь квартир - 26 980 м2
- 1 очередь - 8500 м2
- 2 очередь - 18 480 м2
- коммерческие помещения - 1507 м2:
- 2 очередь - 1507 м2
- количество машиномест - 200:
- 2 очередь - 200 м/м
Проект в стадии разработки. Квартирография - после утверждения соответствующей документации.
СПОЗУ
В соответствии с ГПЗУ и ППТ:
- максимальная общая площадь ОКС - 40 700 м2
- общая площадь отдельно стоящего 17-этажного жилого дома - 9783 м2:
- надземных этажей - 16
- подземных этажей - 1
- общая площадь квартир - 8217.95 м2
- общая площадь паркинга в пределах внутренних поверхностей наружных стен - 3582.89 м2
- общая площадь коммерческих этажей в корпусах 2.1 и 2.2:
- 637. 64 м2 х 2 = 1275.28 м2
- общая площадь квартир - 22 599.36 м2
В соответствии с ГПЗУ, на земельном участке размещаются:
- машиноместа:
- количество м/м - 57 (включая м/м для МГН)
- площадки для мусорных контейнеров
- детские, игровые, физкультурные площадки
- площадки для отдыха
- площадки, частично вынесенные на крышу:
- въезд на стилобат необходим только для пожарной техники
- проезд по эксплуатируемой кровле паркинга - усиленный тротуар
Расстояние от границы участка на севере до паркинга - 14.5 м:
- участок граничит с будущей школой
- разрыв от паркингов закрытого типа принимается на основании расчётов рассеивания загрязнений в атмосферном воздухе и уровней физического воздействия (новые СанПиН 2.2.1/2.1.1.100-03)
- для сокращения разрыва до 14.5 м, возможно, придётся проектировать компенсирующие мероприятия в паркинге
ТЭП
- площадь участка - 16873 м2 (100%)
- площадь застройки - 4722.02 м2 (29%):
- корпус 1 - 747. 63 м2
- корпус 2.1 и 2.2 - 3974.39 м2
- площадь твёрдых покрытий - 6437.27 м2 (37%)
- площадь озеленения - 5248.0 м2 (31%)
- площадь пешеходных дорожек - 346.32 м2 (2%)
- площадь детских, игровых и физкультурных площадок - 119.39 м2 (1%)
- площадь стилобата - 3974.39 м2:
- площадь застройки - 1371.72 м2
- площадь озеленения - 959.38 м2
- площадь пешеходных дорожек - 218.53 м2
- площадь площадок - 113.91 м2
- площадь твёрдых покрытий - 1472.98 м2
- общая площадь комплекса - 40 700 м2:
- общая площадь нежилых помещений - 5128.17 м2
- общая площадь жилых домов - 35 571.83 м2
- общая площадь квартир - 30 817.31 м2
- этажность - 16-24
Финансовая модель и показатели проекта
Условиями договора аренды земельного участка предусмотрена безвозмездная передача квартир в собственность граждан, нуждающихся в защите:
- количество передаваемых квартир - 44:
- студии - 10
- 1-комнатные - 13
- 2-комнатные - 15
- 3-комнатные - 5
- 4-комнатные - 1
- общая площадь - 2396.99 м2
Передача квартир выполняется до завершения строительства ЖК. Это квартиры не в строящемся объекте, а любые другие квартиры, на которые оформлена собственность.
Проблемная ситуация с вариантом разрешения
Ситуация:
- просуженные иски КИО СПб о взыскании задолженностей по платежам по договору аренды и санкции:
- уплаченная аренда - 30 млн.руб.
- решение суда о расторжении договора аренды:
- не вступило в силу по причине апелляции
Вариант решения проблемы
В случае совершения сделки по продаже объекта с КИО СПб решается вопрос о расторжении договора по мировому соглашению:
- о снятии претензий и санкций
- о корректировке положений договора аренды:
- или денежное возмещение вместо передачи квартир
- или отсрочка по передаче квартир
Предварительные обсуждения этого варианта проведены. Они оценены как приемлемые.
Стоимость прав на проект
Стоимость прав на проект – 90 млн.руб.
Предоставление дополнительной информации по объекту, организация осмотра и переговоров - по официальной заявке
Стоимость90 млн. руб пересчитать в: долл евро |
Внимание! Здесь указана ориентировочная цена и параметры объекта. Пожалуйста, уточняйте информацию по телефону, e-mail или через форму обратной связи. |




























