Два земельных участка под строительство частных жилых домов в деревне Коростель
Внимание! Данный объект снят с продажи!
Два земельных участка площадью 2101 м2 и 1500 м2 под строительство частных жилых домов в деревне Коростель
Расположение
Ленинградская область, Кингисеппский район, деревня Коростель, улица Старосельская
- 173 км от Санкт-Петербурга по автодороге
- 30 км от Кингисеппа
- 6 км от Финского залива
- 3 км от озера Вайкне
Правовой статус
Площади земельных участков:
- 2 101.14 м2
- 1 500 м2
Категория земель: земли населённых пунктов
Разрешённое использование: индивидуальное жилищное строительство (ИЖС)
Документы: межевой и кадастровый планы каждого участка
Вид права: собственность физического лица
Обременения/ограничения:
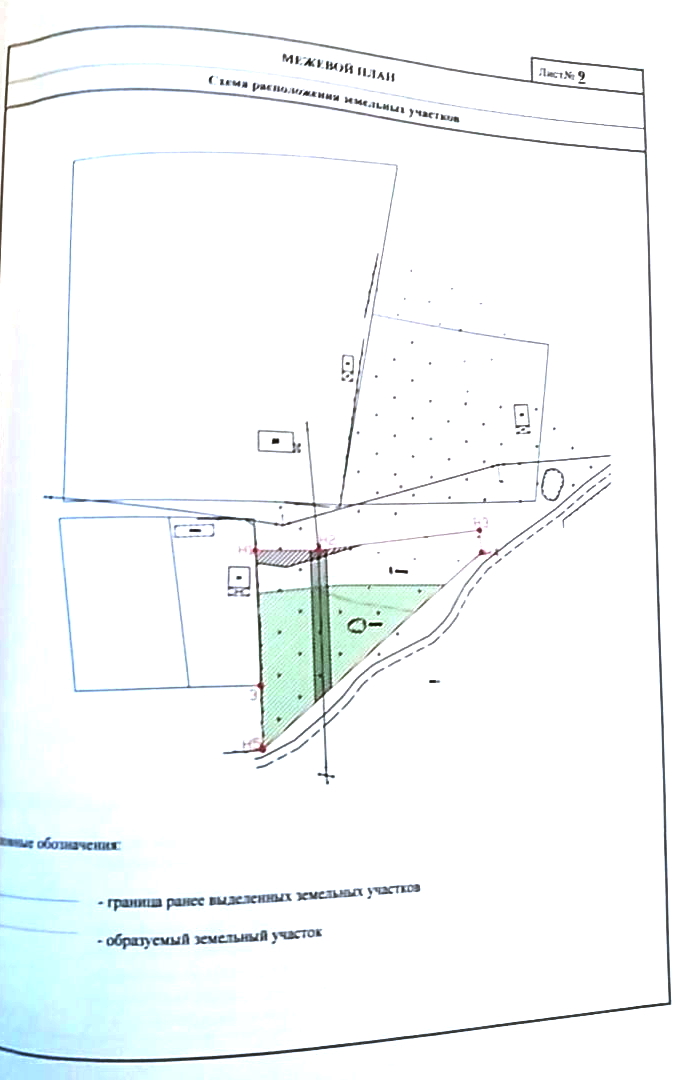
- участок площадью 2 101.14 м2
- охранная зона ЛЭП 10 кВ - 419 м2
- участок площадью 1500 м2
- зона обслуживания ЛЭП 10 кВ – 59.43 м2
- зона обслуживания ЛЭП 0.4 кВ – 138.21 м2
- водоохранная (прибрежная) зона реки Валья – 897 м2
Особенности
Местность, окружающая участки, отличается изысканной природной красотой Кургальского полуострова:
- хвойные и широколиственные леса Кургальского государственного природного комплексного заказника регионального значения с его озёрами, редкими обитателями фауны и видами растений
- близость к реке Россонь, озеру Вайкне, Финскому заливу, расстояние от которого по реке - 6 км, к месту впадения в залив рек Усть-Луга и Нарова
Участки расположены в небольшой и тихой деревне с великолепными современными домами и коттеджами
Напротив деревни, через реку Россонь, - посёлок Горка
Характеристика участков
- находятся в 180 м и 90 м от реки Россонь
- ровные, сухие, не разработаны, не застроены
- электричество не подведено
- ЛЭП по границам участков
- подъезд к участкам - с улицы Старосельская
Стоимость участков
участок площадью 2 101 м2 – 400 тыс.руб.
участок площадью 1 500 м2 – 400 тыс.руб.
Стоимость400 тыс. руб пересчитать в: долл евро |
Внимание! Здесь указана ориентировочная цена и параметры объекта. Пожалуйста, уточняйте информацию по телефону, e-mail или через форму обратной связи. |
Расстояние до Санкт-Петербурга
120 км. (указано расстояние до КАД Санкт-Петербурга по прямой).














