Земельный массив под строительство коттеджного посёлка у посёлка Рахья
Внимание! Данный объект снят с продажи!
фото
документы
Земельный массив площадью 20 га под строительство коттеджного посёлка вблизи п.г.т. Рахья.
Расположение
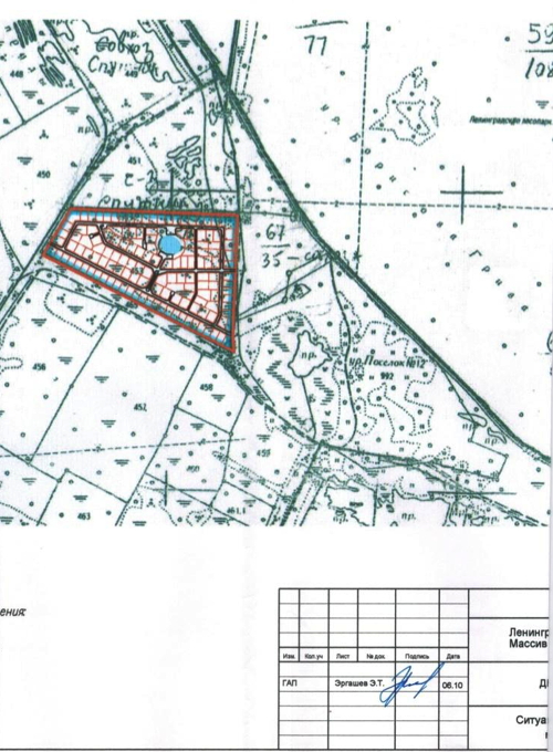
Ленинградская область, Всеволожский район, вблизи посёлка городского типа Рахья
- 27 км от КАД по Дороге Жизни (трасса А128)
- 26 км от Всеволожска
- 7.5 км от Дороги Жизни
- 6.3 км от ж/д станции «Проба»
- 200 м от дороги
Правовой статус
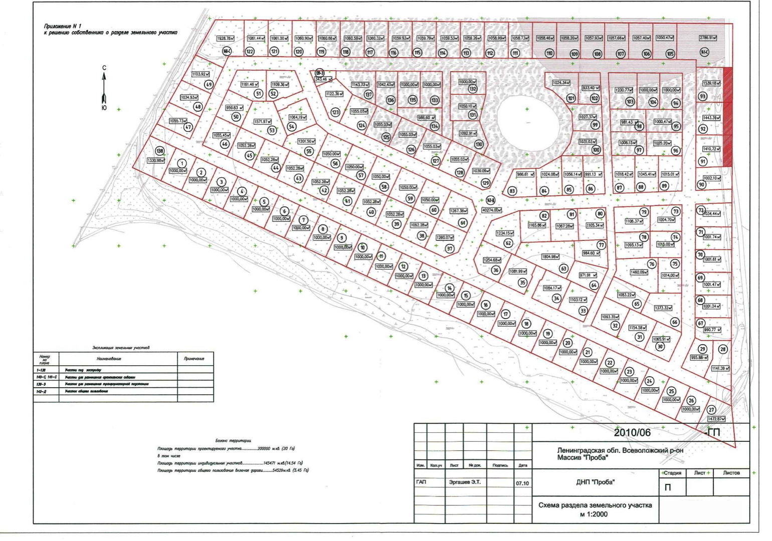
Площадь участка – 20 0000 м2
Категория: земли сельскохозяйственного назначения
Разрешённое использование: садоводство
Вид права:
- участок в собственности физического лица (компания-владелец перевела участок в собственность физлица)
- участок размежёван на 142 самостоятельных участка:
- в соответствии с ФЗ №217 ВРИ каждого участка – «садоводство»
- площадь каждого участка, в среднем, – 1 000 м2
Особенности
- Местность расположения земельного массива отличается высокой экологичностью и природной живописностью:
- чистый сосновый лес
- небольшое озеро на территории
- Вблизи участка
- озеро Каменка
- карьеры с обустроенными пляжами и зонами отдыха
- Ладожское озеро – в 10 км
- По периметру территории проложены мелиоративные канавы, заполненные водой
- 8 внутренних дорог:
- из них прочищены 5 дорог
- Подъезды к территории:
- с дороги от СНТ «Проба»
- с ул. Песочная в посёлке Борисова Грива
- Максимальная глубина залегания грунтовых вод: 10 – 12 м
Коммуникации
При строительстве коттеджного посёлка предусматривается:
- водоотведение – локальное
- водоснабжение – из артезианских скважин
- электроснабжение – ЛЭП на границе с участком
Нагрузка на сотку – около 20 000 руб.
Ближайшее окружение
Вблизи участка – целый ряд развитых садоводств и СНТ:
- «Здоровье»
- «Лесной хутор»
- «Ладожское»
- «Спутник»
- «Проба»
- «Рахья»
- «Диана»
- «Терем»
- «Полёт»
- «Труд-2»
Проектные сведения
В составе проекта предусмотрены участки:
- под застройку
- под размещение 2 артезианских скважин
- под общее пользование – участок площадью 54 529 м2
- под размещения трансформаторной подстанции
Запроектированы:
- зоны отдыха:
- искусственный пруд
- детская площадка
- спортивная площадка
- магазин
Баланс территории
- площадь проектируемого участка – 20 0000 м2
- площадь индивидуальных участков – 14 5741 м2
- площадь территории общего пользования (включая дороги) – 54 529 м2
Инвестиционная привлекательность объекта
- Удобное местоположение
- Великолепные природные особенности
- Транспортная доступность
- Развитость инфраструктуры ближайших посёлков и деревень
- Близость пгт. Рахья, в котором действуют:
- медицинские учреждения
- почта
- отделение полиции
- средняя школа
- детский сад
Предоставление иной дополнительной информации, организация осмотра и переговоров – по официальной заявке
Стоимость17 млн. руб пересчитать в: долл евро |
Внимание! Здесь указана ориентировочная цена и параметры объекта. Пожалуйста, уточняйте информацию по телефону, e-mail или через форму обратной связи. |
Расстояние до Санкт-Петербурга
25 км. (указано расстояние до КАД Санкт-Петербурга по прямой).


















