Производственно-складское здание в посёлке Металлострой
Внимание! Данный объект снят с продажи!
Производственно-складское здание на арендуемом земельном участке в посёлке Металлострой.
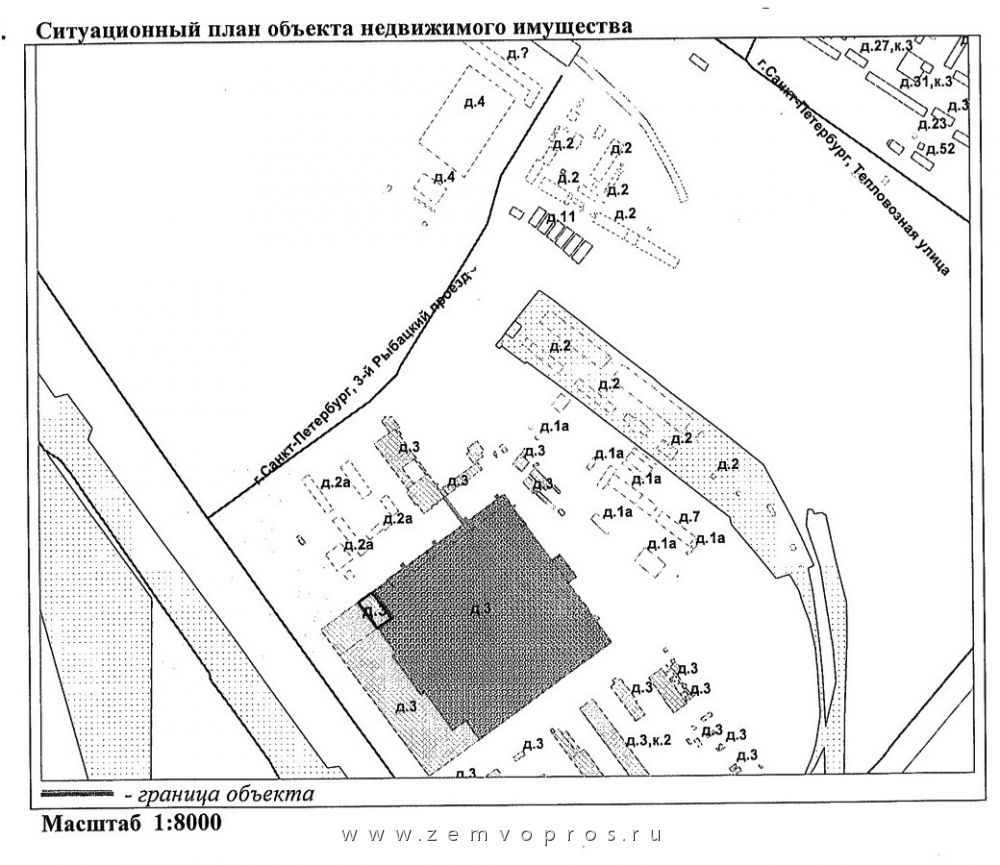
Расположение
Санкт-Петербург, Невский район, посёлок Металлострой, 3-й Рыбацкий проезд
В 290 м от станции метрополитена «Рыбацкое»
Правовая характеристика
1. Земельный участок
- Общая площадь – 2 590 м2
- Площадь земельного участка, прилегающего к зданию, – 680 м2
2. Здание
- общая производственная площадь здания – 6 570 м2
- состоит из двух цехов
Вид права:
Земельный участок, прилегающий к зданию, и земельный участок под зданием - в аренде юридическим лицом (на 49 лет)
Здание площадью 6 569 м2 – в собственности юридического лица
Особенности
Производственное здание состоит из двух цехов:
Цех №1
Производственно-складское помещение:
- площадь – 4 409 м2
- 24 м х 193 м
- высота потолков – 17.9 м
- отапливаемое
- полы бетонные ровные
- остекление в верхнем поясе:
- рамы металлические
- ворота въездные
3 мостовых крана:
- 2 крана грузоподъёмностью по 5 т
- 1 кран – 10 т
Цех №2
1. Производственно-складское помещение:
- площадь – 2 160 м2
- высота потолков – 17.9 м
- неотапливаемое
- полы бетонные, ровные
- остекление в верхнем поясе:
- рамы металлические
2. мостовой кран – 5 т
3. офисно-подсобное помещение:
- общая площадь – 990 м2
- обустроено на отметке 7.1 м
- класс средний
- состав помещений:
- санузлы
- раздевалки
- подсобные помещения
- ворота въездные
Коммуникации
- электроснабжение
- мощность – 330 кВА
- возможно увеличение
- рядом ТП
- канализация
- возможность газоснабжения:
- рядом котельная
Предоставление дополнительной информации по объекту, организация осмотра и переговоров – по официальной заявке
Стоимость160 млн. руб пересчитать в: долл евро |
Внимание! Здесь указана ориентировочная цена и параметры объекта. Пожалуйста, уточняйте информацию по телефону, e-mail или через форму обратной связи. |














