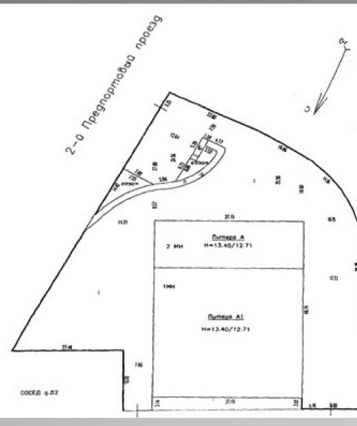
Участок под склад ул.Кубинская и 2-м Предпортовым проездом
Внимание! Данный объект снят с продажи!
Земельный участок площадью 0.57 га с административно-производственным зданием между ул. Кубинская и 2-м Предпортовым проездом.
Расположение
Санкт-Петербург, Московский район, между ул. Кубинская и 2-м Предпортовым проездом.
Близость к аэропорту: 10 мин транспортом.
Близость к КАД: 5 мин транспортом.
Правовая характеристика
Земельный участок площадью 57 соток
Категория земель: земли поселений .
Разрешённое использование: для размещения складских объектов.
Вид права: собственность юридического лица.
Особенности
- Участок по периметру огражден забором.
- Прилегающая территория заасфальтирована.
- Вход отдельный с улицы.
- Охранная система. Шлагбаум.
Здание
Год ввода в эксплуатацию - 2010.
Нежилое административно-производственное.
Этажность - 3.
Общая площадь помещений 2 594 м2
- Используется как СТО для ремонта и технического обслуживания коммунальной техники.
- Большая часть помещений в здании может использоваться как производственные или складские площади - высота потолков около 13 м.
- Вентиляция, кондиционер.
- Остекление: пластиковые окна. Вид из окон во двор, на улицу, на промзону, на проезжую часть.
Помещения в здании - административно-офисные и бытовые:
- Большой ангар
Полезная площадь 923.2 м2
Высота ограничена несущими фермами 13.6/12.65 м
Помещение оборудовано:
Ворота большие 4 х 4.2 м
Ворота малые 3 х 3 м
Яма (Д х Ш х В) 6.26 х 1.16 х 1.48 м
- Малый ангар
Полезная площадь 385.5 м2
Высота 13.32 м
Высота ограниченакраном-балкой
Помещение оборудовано :
Ворота малые 3 х 3 м
Яма (Д х Ш х В) 6.26 х 1.16 х 1.48 м
Кран-балка
- Офисы
Полезная площадь (без учёта технического этажа) - 733 м2
Помещения (количество):
кабинеты - 11
склады - 2
кладовые - 3
душевая - 1
туалеты - 4
умывальные – 2
лестницы - 2.
Обеспеченность коммуникациями
Центральное отопление, электричество.
- Электроснабжение
Разрешенная к использованию нагрузка - 55 кВА.
- Теплоснабжение
Гарантирующий поставщик ОАО «ПСК» Теплоснабжение:
Объем отпускаемой тепловой энергии (горячая вода) - 0,35517 Гкал/ч.
Договор с ГУП «ТЭК СПб» (Котельная 3-я Московская.
- Водоснабжение
Объем поставляемой питьевой воды - 673,44 м3/год, 56,12 м3/мес.
Водоснабжение осуществляется по договору с ЗАО «КОРТА»
- Водоотведение
Договор с ГУП «Водоканал Санкт-Петербурга»
Общий объем сточных вод - 4711,56 м3/год, 392.63 м3/мес.
- Телекоммуникации: интернет, телефон.
Предоставление дополнительной информации по объекту, организация осмотра и переговоров - по официальной заявке.
Стоимость
Стоимость объекта 120 млн.руб.
Стоимость120 млн. руб пересчитать в: долл евро |
Внимание! Здесь указана ориентировочная цена и параметры объекта. Пожалуйста, уточняйте информацию по телефону, e-mail или через форму обратной связи. |
















